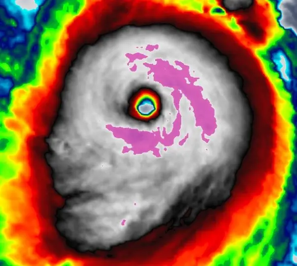
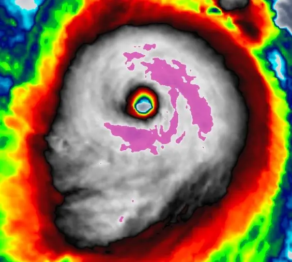
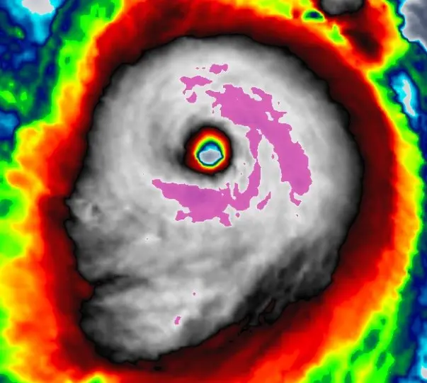
El peligroso huracán Milton se intensifica con categoría 5 rumbo a Florida
Se prevén además rachas de viento de 80 a 100 km/h, y fuerte oleaje de 2 a 3 metros de altura y posible formación de trombas marinas en las costas de Yucatán.
Actualizado: 22 de Julio, 2025, 11:31 PM
Publicado: 09 de Octubre, 2024, 06:51 AM
Miami (EEUU).- Engrandecido y de nuevo como categoría 5, el huracán Milton se enfila este miércoles hacia el área de la Bahía de Tampa, donde montañas de escombros dan aún testimonio de la llegada hace trece días del mortífero Helene a la costa oeste de Florida (EE.UU.).
El huracán Milton se ha intensificado como "enormemente peligroso" con categoría 5 y mantiene su trayectoria rumbo a la costa de Florida en Estados Unidos, donde está previsto que llegue a ultimas horas de este miércoles, según los últimos datos facilitados por el Centro Nacional de Huracanes (NHC).
Parece que desde esta tarde "empezarán a complicarse" ya las condiciones meteorológicas en la zona afectada como consecuencia de la llegada del huracán, según las ultimas informaciones, mientras se aleja gradualmente de las costas de Yucatán (México).
Según la Comisión Nacional del Agua de México (Conagua) y los servicios meteorológicos del país, el pronóstico en Yucatán para las próximas horas es de lluvias intensas (de 75 a 150 litros por metro cuadrado), y de 50 a 75 litros en zonas como Campeche y Quintana Roo.
Se prevén además rachas de viento de 80 a 100 km/h, y fuerte oleaje de 2 a 3 metros de altura y posible formación de trombas marinas en las costas de Yucatán.
Están previstas rachas de 70 a 90 km/h, oleaje de 2 a 3 metros de altura y posible formación de trombas marinas en la costa norte de Quintana Roo y rachas de 40 a 60 km/h con oleaje de 1 a 2 metros de altura en la costa norte de Campeche.
El huracán Milton, que había bajado a categoría 4, se ha intensificado y se aleja de las costas mexicanas sin reportes de víctimas mortales o heridos en los principales destinos turísticos del Caribe mexicano.
La gobernadora de Quintana Roo, Mara Lezama, reportó “saldo blanco” y levantó las alertas por el paso del huracán, durante la conmemoración del 50 aniversario del estado.
“Nuestro estado está fuera de peligro mayor con el alejamiento del huracán Milton de nuestras costas”, afirmó Lezama.

Agencia EFE
La Agencia EFE, o simplemente EFE, es una agencia de noticias internacional con sede en Madrid. Fue fundada en 1939 gracias al impulso del entonces ministro del Interior, Ramón Serrano Suñer, en la que participaron activamente: José Antonio Jiménez Arnau, Manuel Aznar Zubigaray y Vicente Gállego.
Biografía completa »
