Gloria Ceballos: Huracán Beryl se encuentra a 560 kilómetros de la isla Beata
Actualizado: 23 de Julio, 2025, 03:05 AM
Publicado: 02 de Julio, 2024, 07:34 AM
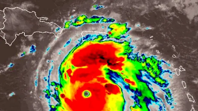
SANTO DOMINGO.- La directora de la Oficina Nacional de Meteorología (Onamet), Gloria Ceballos, informó que a las 6:15 de la mañana de este martes 2 de julio el poderoso huracán se encuentra a 560 kilómetros de distancia al suresta de la Isla Beata.
"El poderoso Huracán Beryl con vientos máximos sostenidos de 270 kph (categoría 5) continúa desplazándose por aguas del Mar Caribe, se ubica a unos 560 kms al SE de Isla Beata, se mueve hacia el oeste/noroeste a 35 kph", publicó Ceballos en su cuenta de la red social X (antes Twitter).
El Centro de Operaciones de Emergencias (COE) mantiene en alerta roja a las provincias Barahona y Pedernales.
Mientras que en alerta amarilla se encuentra Indepenedncia, Azua, Peravia, Santo Domingo, el Distrito Nacional, San José de Ocoa, San Cristóbal, Monseñor Nouel y La Vega.
En alerta verde están La Altagracia, Santiago, Puerto Plata, Espaillat, Hermanas Mirabal.
También Sánchez Ramírez, Monte Plata, Hato Mayor, La Romana, San Pedro de Macorís y en especial la isla Saona.
Lluvias fuertes, vientos con fuerza de huracán y oleaje anormal son de los efectos asociados que se podrían producir en las zonas bajo alerta en un plazo de 72 horas o menos, según la entidad meteorológica.
Asimismo, hicieron un llamado a la población y a las instituciones de protección civil para que den un seguimiento al paso del fenómeno atmosférico.
Ante la ocurrencia de aguaceros, los residentes en zonas de alto riesgo que habitan próximo a ríos, arroyos y cañadas, el COE recomendó a los ciudadanos estar atentos y tomar las medidas de precaución necesarias.

